2023May29 Het Amsterdamse Bos


Het Amsterdamzse Bos
literally means The Amsterdam Forest (though most of it is on Amstelveen). It is a National Forest, built in the 1930s by an unemployment relief project started after the Great War. The last tree was planted in the 1970s. It's three times the size of Central Park in New York City, and contains small animal parks, playgrounds, sport clubs, memorials, and an outdoor theater! 

29 May 2023 - Tree Treasure Hunt for Biodiversity Week

We signed up to walk the Experience Path with a guide. He gave us Boxes to collect tree treasures! He showed us leaves of all different shapes and we collected as many different shapes as we could! Then, like squirrels, we scampered across fallen logs!
We stopped to listen to the birds. Trees are home and food for birds. We picked up sticks that would help us build good nests. 

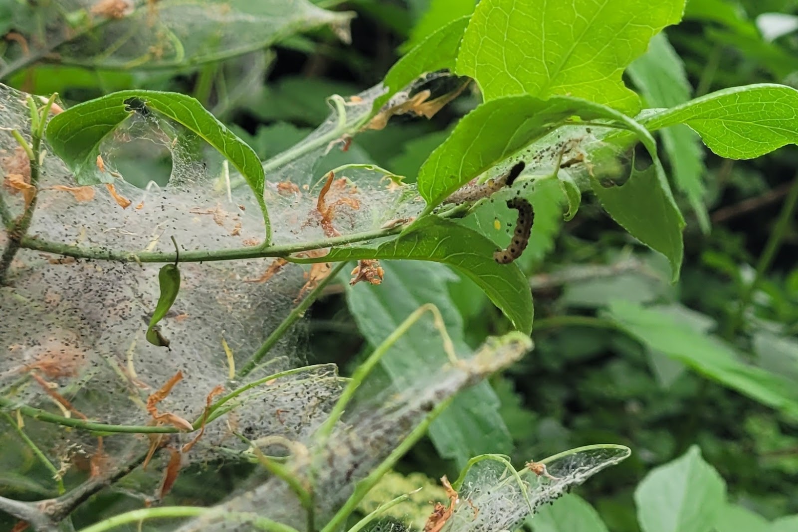
We found bushes covered in caterpillar silk! 
Some caterpillars hung out by themselves, 
but some lived in big groups! 

Comments

Popular posts from this blog

Friesland Trip, Netherlands

Day Out with Thomas at B&O Railroad Museum

Star Trek Diplomas: All of them. I think.